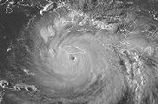
Dit weekend raasde de orkaan, nu nog een ‘categorie 4’ onderlangs Jamaica. Tot nu toe zijn zes mensen omgekomen in het natuurgeweld, waaronder nog geen Nederlanders, meldt alarmcentrale SOS International.
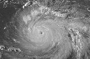
Reisorganisatie TUI heeft alle vluchten naar Mexico al gecanceld, maar laat wel weten dat toeristen die nu in het gebied zitten zich geen zorgen hoeven maken. Volgens TUI, dat zo’n 650 gasten heeft in Cancún en Playa del Carmen, zal Dean 100 tot 150 kilometer onder de populaire badplaatsen langsrazen.
Maatregelen
Volgens overkoepelende reisorganisatie ANVR hebben veel reisorganisaties maatregelen getroffen voor toeristen in Mexico. In Nederland staan crisisteams paraat, en er zijn afspraken met lokale reisagenten en overheden om Nederlandse toeristen eventueel naar een veilige plek te brengen.
Volgens persbureau ANP vluchten duizenden toeristen voor het natuurgeweld. De luchthaven van Cancún kan de stroom reizigers niet aan, ook al hebben veel maatschappijen extra vluchten vanaf het schiereiland ingepland.
Reisadviezen
Duizenden mensen hebben de nacht doorgebracht op het vliegveld, in de hoop snel een vlucht te vinden vanuit het gebied. Veel openbare gebouwen en winkels zijn al dicht, en gisteren haalde de Mexicaanse overheid ruim 13.000 arbeiders van olieplatforms in de Golf van Mexico.
Volgens verwachtingen zal Dean voor hij Mexico bereikt aanzwellen tot een ‘categorie 5’-orkaan, de zwaarste categorie.
Het ministerie van Buitenlandse zaken bekijkt vandaag of de reisadviezen voor het gebied moeten worden aangepast.




